Tres Indios Ranch

Ranch Land for Sale • Rio Grande Valley, Texas

1,300+ Acres • Highway 186
Between Raymondville & San Manuel Texas

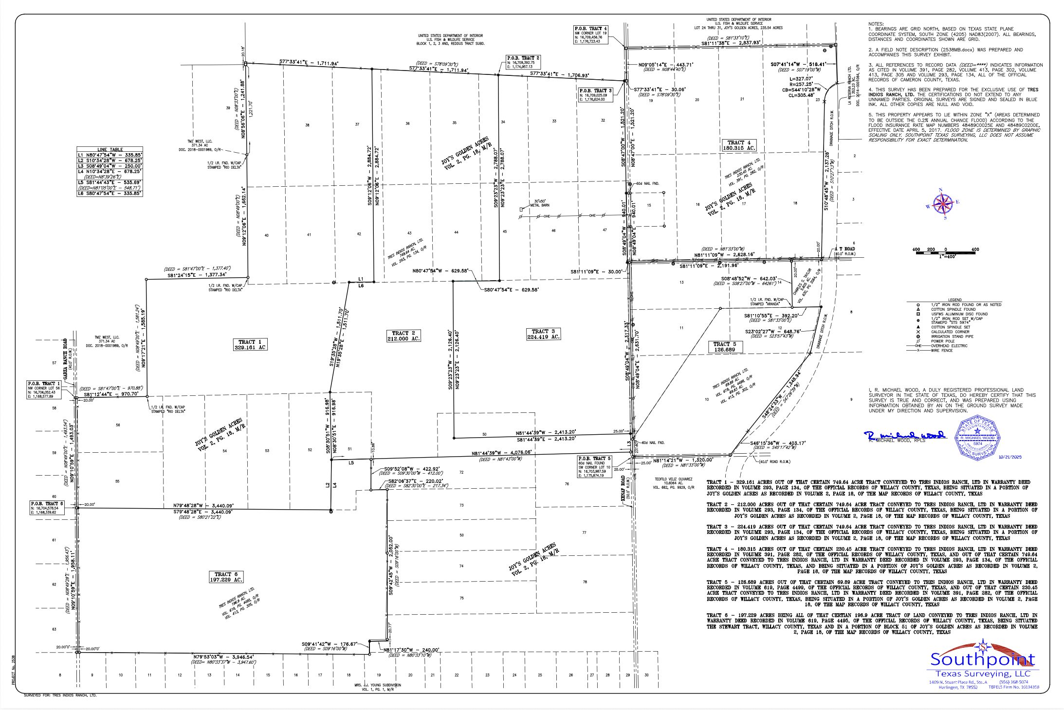
Tres Indios Ranch consists of over 1,300 acres of South Texas ranch land, offered in six individually surveyed tracts ranging from 126 to 345 acres, located off Highway 186 between Raymondville and San Manuel, Texas.

Four tracts share over 1.5 miles of northern boundary with federally protected wildlife refuge land, creating a rare combination of privacy, protected views, and long-term value.

Tract 1

329.16 Acres – Refuge Boundary

Tract 2

312.00 Acres – Refuge Boundary

Tract 3

224.19 Acres – Refuge Boundary

Tract 4

180.31 Acres – Refuge Boundary

Tract 5

126.69 Acres

Tract 6

197.23 Acres

Offered from $10,500 to $12,500 per acre.

Pricing varies by tract size, access, and proximity to protected land. Exact pricing and owner financing available upon request.

Located between Raymondville and San Manuel, Texas

Willacy County

Direct access off Highway 186

Easy reach to Harlingen, Brownsville, and McAllen